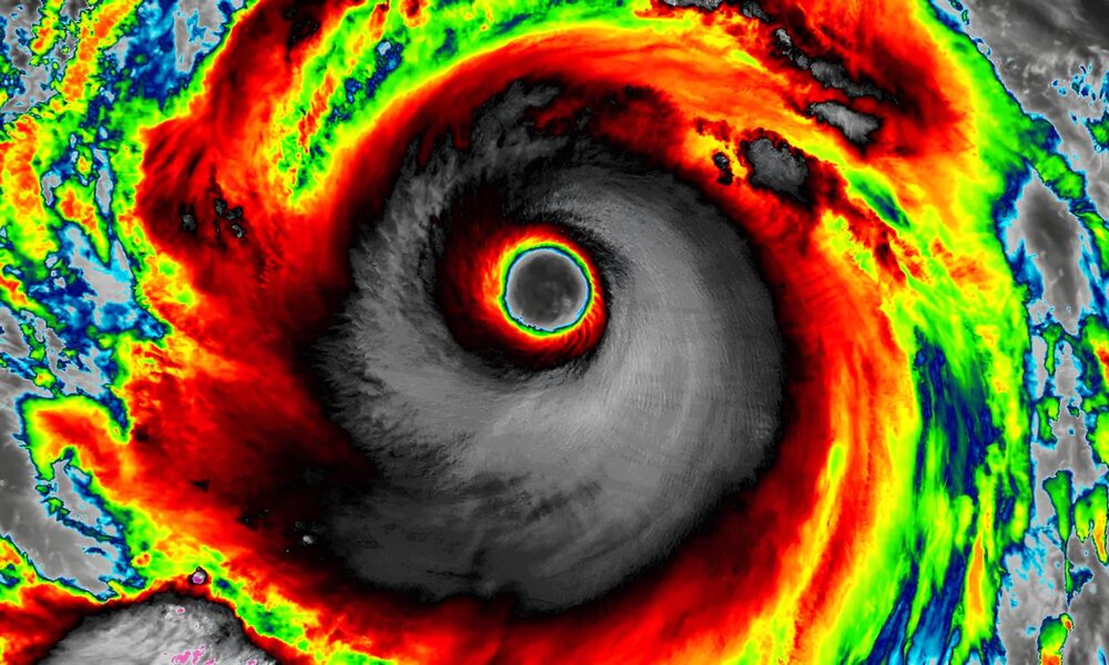
O Monstro Climático que Não Dá Trégua Enquanto o mundo se prepara para enfrentar as consequências de uma crise climática cada vez mais evidente, o supertufão...
O Que Realmente Aconteceu no Ônibus da Dutra? Na tarde de 23 de setembro de 2025, uma história surpreendente tomou conta das redes sociais e dos...
A Hora do Horror 2025 já começou, e o Hopi Hari está mais assustador do que nunca. Um vídeo recente divulgado nas redes sociais tem arrepiado...
Por que a Toyota está enfrentando turbulências? A indústria automotiva brasileira é conhecida por sua resiliência, mas até mesmo as maiores montadoras podem ser surpreendidas por...
Como o Som de Uma Orquestra Pode Mudar a Vida de Milhares? Imagine um cenário onde a música clássica não é apenas uma tradição elitista, mas...
Quando as Palavras Viram Armas Em um momento em que o mundo parece oscilar à beira de um abismo político, social e ambiental, Lula subiu ao...
A Tempestade Que Mudou Tudo No dia 22 de setembro de 2025, um vendaval devastador transformou a rotina tranquila de Porto Feliz, interior de São Paulo,...
O Dia em que o Céu Desabou Sobre a Toyota Imagine uma força da natureza tão poderosa que consegue interromper a produção de uma das maiores...
O Momento em que o Inesperado Virou Realidade Imagine você dentro de uma fábrica, cercado por máquinas de última geração, trabalhando para entregar algo essencial à...
No coração de São Paulo, um evento promete reunir tradições, sabores e histórias que atravessam gerações. O Revelando SP, festival que acontece de 25 a 28...